Ir al contenido
CANES barrio privado
GaleriaMADv2_01.webp
GaleriaMADv2_03.webp
c.webp
b.webp
GaleriaMADv2_02.webp
d.webp

CANES barrio privado

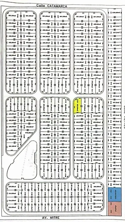
Lote U164 esquina 584 m2

Mide 17 mts de frente por 37,75 mts de fondo

USD 78.000

 186 lotes, total de 13 hectáreas

Medidas de seguridad, como lo son un cerco olímpico perimetral, cámaras, sensores y monitoreo, personal de seguridad y dos zonas de control de acceso.

Salas de usos múltiples (dos de ellas con parrillero); galería y plaza semicubierta, un espacio diferente e innovador; zona recreativa; estacionamientos de cortesía; gimnasio; piscina; vestuarios y plaza de juegos.

Espacio verde para usos recreativos. Infraestructura de servicios subterránea, lo que te garantiza un entorno armónico y despejado.

Se encuentra en una zona plenamente urbanizada y con acceso totalmente pavimentado, cerca de importantes puntos de interés como el Colegio Joan Miró, el Fisherton Plaza Mall y el Sanatorio de la Mujer, negocios, viviendas permanentes.

La iluminación pública del barrio será 100% solar, convirtiendo a Cannes en el primer emprendimiento a nivel nacional en contar con tecnología sustentable y energía renovable para iluminar sus áreas comunes.

Cuenta con una frondosa arboleda tanto en su perímetro como en el interior, en la que se emplazan la mayoría de sus amenities y zona social.

CONSULTAS O VISITAS AL 0341-153246939 Mirta o al 3413269638 Facundo

USD 78.000,00 USD 78.000,00
Precio s/Imp. Nac.: USD 78.000,00

Es necesario especificar una dirección para poder insertar un mapa

¿Te interesa esta propiedad?

Póngase en contacto con sus clientes para ofrecerles un mejor servicio. Puede modificar los campos del formulario para recopilar información más precisa.